Nosalówka 2010 Dla uczestników koźmickich zabaw pod gołym niebem a także dla tych, których, przez udziałem w imprezach, powstrzymywał brak toalet na Nosalówce, mamy dobrą wiadomość: jeszcze w tym roku przy świetlicy powinny powstać sanitariaty. Po wielu perypetiach światło dzienne ujrzał wreszcie projekt. Jeśli do wiosny uda się uzyskać pozwolenie na budowę to jest szansa, że jeszcze w tym roku przyznane zostaną środki na tą inwestycję.![]()
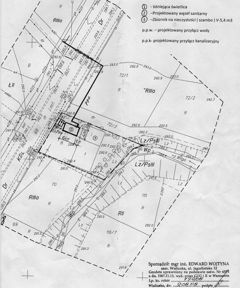
Projekt budynku sanitarno-gospodarczego przy świetlicy wiejskiej na Nosalówce. Oprócz 3 umywalek i 5 muszli przewidziano także niewielkie pomieszczenie gospodarcze. W dniu 15 stycznia 2010 r. został zatwierdzony Uchwałą XXXVI/558/2010 Rady Miasta i Gminy „Plan Odnowy miejscowości Koźmice Małe”, a w nim: „Budowa węzła sanitarnego do obsługi świetlicy wiejskiej”. Projekt został wykonany wg załączników i umiejscowiony na parceli nr 71 jak widać na mapie zagospodarowania terenu Nosolówki. Obecnie są przeprowadzane uzgodnienia branżowe poprzedzające złożenie wniosku o pozwolenie na budowę w Starostwie Powiatowym. Nie będę gdybał kto zawinił i dlaczego nie uzyskano pozwolenia na budowę, pomimo zlecenia wykonania w/ wymienionego rok wstecz. Trwają na chwilę obecną intensywne prace, aby uzyskać pozwolenie budowlane w marcu 2010 r. do przedłożenia z wnioskiem do marcowego naboru środków z Programu Leader, „Programu Odnowy Obszarów Wiejskich na lata 2007- 2013” do akceptacji w Urzędzie Marszałkowskim w Krakowie. Sołtys Stanisław Dziedzic Ostatnia strona Planu Odnowy z podpisem przewodniczącego RM oraz mapka zagospodarowania Nosalówki.
styczeń 2010
|
Zmarł Piotr Popek 21 stycznia, w wieku 53 lat, zmarł nagle Piotr Popek z Koźmic Małych. Msza św. żałobna została odprawiona w sobotę, 30 stycznia o godz. 1500 w kościele w Koźmicach Wielkich. Pogrzeb na cmentarzu parafialnym, odbył się bezpośrednio po nabożeństwie. Zobacz: nekrolog. styczeń 2010
|
Wielka Orkiestra Świątecznej Pomocy w Byszycach W niedzielę 10 stycznia Wielka Orkiestra Świątecznej Pomocy zagrała także w Koźmicach. Jeden ze sztabów orkiestry mieścił się w szkole w Byszycach a wolontariusze z puszkami pojawili się po mszach świętych w okolicach kościołów w Koźmicach, Byszycach i Gorzkowie. Zebrane pieniądze będą przeznaczone na zakup specjalistycznego sprzętu dla potrzeb diagnostyki onkologii dziecięcej.10 stycznia w całym kraju grała po raz 18-ty Wielka Orkiestra Świątecznej Pomocy. Pieniądze ze zbiórki będą przeznaczone na zakup sprzętu do wczesnej diagnostyki chorób nowotworowych u dzieci. Cel jakże szczytny – i jakże bliski nam wszystkim. Nawet w najbliższym sąsiedztwie – w Koźmicach – są dzieci, które zmagają się z tą chorobą. Godny odnotowania jest fakt, że wielu hierarchów kościelnych wyraża się bardzo ciepło o idei zbiórki środków przez wolontariuszy Orkiestry – a dał temu wyraz arcybiskup Józef Życiński we Mszy Św. transmitowanej w telewizji Polonia. Szczegóły na stronie: http://info.wiara.pl. W tym roku po raz pierwszy finał orkiestry zorganizowano w naszej najbliższej okolicy. Tego szczytnego celu podjęła się dyrekcja i grono pedagogiczne Szkoły Podstawowej w Byszycach. Wolontariusze prowadzili zbiórkę w okolicach kościołów w Koźmicach Wielkich, Gorzkowie, Byszycach – a także pod sklepem „Sowa” w Gorzkowie. O godzinie 16 w budynku szkoły odbyło się przedstawienie Jasełek w wykonaniu kółka teatralnego klas I-III, a następnie występ koła teatralnego klas IV-VI, które pokazało „Kopciuszka”. W przerwie odbyła się licytacja 2 rowerów podarowanych na rzecz orkiestry przez Państwa Katarzynę i Grzegorza Jankowskich z Wieliczki, a także licytacja książek dla dzieci. Przez cały czas można było – w zamian za datek na Orkiestrę – zostać sportretowanym przez artystę malarza Pana Jacka Siek. Odbyła się też loteria fantowa, a od strony kulinarnej popisali się rodzice przygotowując pyszne ciasta, które zniknęły błyskawicznie przyczyniając się do zwiększenia zawartości puszek wolontariuszy. Czerwone serduszka Orkiestry zawładnęły Byszycami wspierając piękny cel. W całej akcji zebrano w sumie 2657,50 zł. Może by tak za rok spróbować zaangażować sąsiednie wsie w tę piękną i pożyteczną akcję? Jasełka w wykonaniu klas I-III Licytacja rowerów Szczęśliwy zwycięzca licytacji jednego z rowerów Portretowanie darczyńców Tekst i zdjęcia: Jacek Kostrzewa styczeń 2010
|
Kolędowanie w Koźmiczkach 2010
Nadzwyczaj sprawnie przebiegł dwudniowy rajd kolędniczy po Koźmiczkach i okolicy. Ekstremalna trasa obejmująca także tereny formalnie wchodzące w skład Raciborska i Pawlikowic spotkała się z zainteresowaniem zaskoczonych niecodzienną inicjatywą mieszkańców. Mimo niespodzianki furtki pozostały otwarte a psy zamknięte, z czego ucieszyli się sami kolędnicy, którzy obawiali się, że może być na odwrót. W kolędniczym zapale grupa nie zawahała się nawet przed wkroczeniem do... sklepu spożywczego !AP W imieniu własnym oraz Rady Sołeckiej składam serdeczne podziękowanie wszystkim mieszkańcom: Koźmic Małych niektórych gospodarstw domowych z Raciborska (po stronie koźmickiej) oraz z Pawlikowic łącznie ze sklepem spożywczym pana Cholewy, których odwiedziliśmy z kolędą, a ich domostwa stanęły otworem dla wiejskich śpiewaków bożonarodzeniowych. Bóg zapłać za hojne datki, ciepły i zimny poczęstunek oraz za życzliwe i miłe przyjęcie na swoje podwórka grupy kolędniczej, uwidaczniane przez witanie Nas przez obydwu gospodarzy lub całych rodzin wyjściem do, a nawet za próg domostwa oraz otwieraniem na oścież furtek i bram ogrodzeniowych. Fot.Wojtek Tchórzewski.
Zobacz powiększone zdjęcie.Dziękuję bardzo kolędnikom za dwudniową wyprawę po Naszej Miejscowości. Podziękowanie dzieciom, dzięki którym, kultywowanie tej tradycji narodowej, polskiej było wyrażone przez całą społeczność naszej wioski. A więc dziękuję serdecznie: Joasi Gawędzie, Janowi Pasuli, Oli Pawlikównie, Dominice Ślęczce oraz Magdzie i Wojtkowi Trędowiczom. Dziękuję bardzo pani Katarzynie Ślęczce oraz pani Danucie Grabkowej za kolędowanie i prowadzenie buchalterii. Składam serdeczne podziękowanie męskim głosom, a mianowicie panom; Andrzejowi Janowi Batce, Ryszardowi Chwastkowi, Tomaszowi Gawędzie, Czesławowi Nawalanemu, Mariuszowi Rogowi, Ryszardowi Strojnemu, Grzegorzowi Ślęczce, Tomaszowi Trędowiczowi i Józefowi Udale. Dziękuję bardzo serdecznie kolędnikom z Koźmic Wielkich, którzy do nas dołączyli i bezinteresownie nas wspomagali, a to panom; Józefowi Jani, Stanisławowi Kałuży, Piotrowi Konopce, Marianowi Nawalanemu, Maciejowi Płatkowi i Andrzejowi Surówce. Na koniec składam największe podziękowanie tym, bez których ta kolęda nie miałaby racji bytu, a mianowicie: Bogdanowi Nawalanemu za udostępnienie szopki Bożonarodzeniowej oraz jej doraźne remontowanie po pierwszym dniu kolędy oraz Wojciechowi Grochalowi i Adamowi Grabkowi za akompaniament na własnych akordeonach, narażonych na niesprzyjające warunki atmosferyczne w pierwszym dniu obchodu. Jeszcze raz wszystkim za wszystko serdecznie dziękuję i życzę błogosławieństwa Bożego i opieki Matki Najświętszej do następnej kolędy Anno Domini 2011. Szczęść Boże. Sołtys Stanisław Dziedzic Słowa podziękowania należą się także samemu sołtysowi za zorganizowanie i sprawny werbunek kolędowników a potem za kolędowanie. Dziękujemy Panie Stanisławie. Zobacz także... styczeń 2010
|
Od pół wieku bez Trzech KróliNazwę Trzech Króli zaakceptowała tradycja ludowa wielu narodów. Oznacza ona dzień objawienia się Jezusa Chrystusa światu. W kościele katolickim wschodnim Objawienie Pana świętuje się od III w., natomiast w zachodnim od IV w. Opowieść św. Mateusza o Mędrcach, którzy przybyli ze wschodu aby odnaleźć nowonarodzonego króla żydowskiego i złożyć mu hołd od dawna jest przedmiotem biblistów i teologów. Jednak w drugim rozdziale Ewangelii wg św. Mateusza nie jest wymieniona liczba Mędrców, zresztą nigdzie w Nowym Testamencie nie ma ani słowa o królach a już w żadnym razie nie mówi się, że było ich trzech.
Liczbę ukształtowała późniejsza tradycja, oparta na liczbie darów wspomnianych przez św. Mateusza. Mędrców do Betlejem prowadziła gwiazda. Na przestrzeni wieków, wielu uczonych próbowało ją zidentyfikować. Niektórzy uważali, że była to kometa Hallye’a . Często używany wyraz mag, będący synonimem Mędrca, zdaje się wskazywać na perskie pochodzenie trzech cudzoziemców idących za gwiazdą. Wg legend byli to: Kacper z Arabii, Melchior (początkowo z Melkon) z Persji i Baltazar z Indii – imiona te znane są od VI w. Jedno jest pewne – starożytni Persowie spodziewali się nadejścia „ pomocnika – zbawcy” i wiedzieli, że tego samego oczekuje lud zamieszkujący Palestynę. Skoro nowonarodzony przyszedł na świat by zbawić wszystkich ludzi, a składający Mu hołd przybyli z różnych stron, dlatego w tradycji chrześcijańskiej od XIV w. jeden z magów jest czarnoskóry. Zgodnie z ówczesnym obyczajem, Mędrcy ofiarowali nowonarodzonemu podarunki będące wyrazem hołdu – złoto, kadzidło i mirrę. Od XV w. w dniu Trzech Króli święci się więc w kościele złoto i kadzidło, jako symbol darów które Mędrcy ofiarowali Dzieciątku w stajence. Poświęcone nabierały mocy magicznej, którymi okadzano domy aby chronić je od nieszczęść. Od XVIII w. święci się także kredę. Do tradycyjnych zwyczajów należy pisanie na drzwiach święconą w tym dniu kredą inicjałów K + M + B i cyfry oznaczającej rok. Ale ten skrót trzech imion znaczy również „Niech Chrystus błogosławi ten dom”. Święto Trzech Króli (6 stycznia)zostało zniesione przez władze PRL w 1960 r.Tekst i zdjęcia: Jan Kowal 50 lat temu, uchwałą I sekretarza KC PZPR Władysława Gomółki święta: Objawienia Pańskiego (6 stycznia) oraz Wniebowzięcia NMP (15 sierpnia) przestały być w Polsce dniami wolnymi od pracy. Do dziś w Trzech Króli nie pracują m.in.: Austriacy, Grecy, Hiszpanie, Włosi i Słowacy. W tym roku 6 stycznia będzie także dniem wolnym od pracy dla kilku tysięcy miejskich urzędników w Łodzi. Trwa publiczna debata na temat przywrócenia dnia wolnego w dniu święta Objawienia Pańskiego. A jakie jest Wasze zdanie w tej kwestii ?
styczeń 2010
|
Podsumowanie 2009 roku w KoźmicachStyczeńNowy Rok rozpoczął się także na Nosalówce – był szampan, życzenia i wspólne śpiewy. Może trochę za dużo było tego szampana, bo wkrótce potem szukaliśmy żółwi w Wildze. ![]() Odpust w Koźmicach Wielkich. Pojawia się komentowana szeroko na naszej stronie informacja o planach budowy placu zabaw w Koźmicach Małych przez Stowarzyszenie „Wielicka Wieś”. Poznaliśmy także wyniki ankiety na temat kandydatów na patrona dla gimnazjum w Koźmicach. Obie inicjatywy nie doczekały się jednak finiszu w 2009 roku. Marzec Znów uaktywnili się złodzieje w Koźmiczkach. Poznaliśmy także Legendę z Czarnego Lasu. Znacie ? To posłuchajcie … Kwiecień Nasz człowiek - Łukasz Porąbka z Koźmiczek przyjął śluby wieczyste a miesiąc później święcenia diakonatu. Skromnie obchodziliśmy drugie urodziny strony www.kozmice.pl. Maj Kumulacja pomyślnych i radosnych zdarzeń – podwójna tęcza, święcenia Łukasza i urodziny Karola. A na dokładkę zaszczepiliśmy lisy z Czarnego Lasu!
Szkolny musical dla mamy i taty - czerwiec.
Burzliwa dyskusja na temat wyników wyborów do Parlamentu Europejskiego nieco przysłoniła ciekawy artykuł na temat nazw koźmickich przysiółków. Lipiec Na stronie przeżywaliśmy jeszcze czerwcową grę w strugach deszczu w debiutującej Koźmickiej Parafiadzie. Na zachętę Koźmiczki zdobyły tytuł piłkarskiego mistrza i znaczący udział w środkach pozyskanych z imprezy. Sierpień Wiadomość o uruchomieniu trasy busów linii FK przez Koźmiczki ucieszyła wielu. Niestety, z powodu niskiej rentowności, linia nie dotrwała nawet do końca roku. Odbył się pogrzeb księdza Władysława Jewiarza, długoletniego proboszcza parafii w Koźmicach Wielkich. Wrzesień Sprzątaliśmy w korycie a w Czarnym Lesie obrodziły grzyby… Październik Miesiąc rekordów: nasze tenisistki stołowe dotarły aż do półfinałów mistrzostw Polski. Koźmice przeżywały najdłuższy w swojej historii, czterodniowy brak prądu. Mimo to (a może właśnie wskutek tego) kwesta na potrzeby parafii okazała się rekordowa. Rekordem, choć w innym wymiarze było także osiągnięcie 100 tysięcy wizyt na naszej stronie, o czym zameldowali nasi wierni Czytelnicy – Piotr i Małgorzata . Sukcesem okazała się także wyprawa poszukiwawcza naszego sołtysa „Na tropach armaty”. Listopad Tradycyjnie już mieliśmy „koźmickie powstanie listopadowe” czyli intensywne prace przy świetlicy na Nosalówce. W wyniku między innymi drill-party i hammer-party powstała więźba dachowa, położono folię dachową i pokrycie z blachy. Na budowie pojawił się nawet osobiście koźmicki ułan w stroju galowym. Grudzień Poznawaliśmy dawne dzieje koźmickiego epizodu drugiej odsieczy wiedeńskiej. Gmina przekazała nam pieniądze na dokończenie budowy zadaszenia ale jednocześnie zabrała obiecane wcześniej na remont dróg i chodniki. W świątecznym czasie cieszyliśmy się dodatkowo złotymi godami Państwa Cieślików. To już 2 lata obecności na naszej stronie autorskiego cyklu Jacka Kostrzewy; winiarski serial ma już 23 odcinki a Czytelnicy pytają o następne. styczeń 2010
|
Kolędnicy misyjnistyczeń 2010
|
kozmice.pl
Dla uczestników koźmickich zabaw pod gołym niebem a także dla tych, których, przez udziałem w imprezach, powstrzymywał brak toalet na Nosalówce, mamy dobrą wiadomość: jeszcze w tym roku przy świetlicy powinny powstać sanitariaty. Po wielu perypetiach światło dzienne ujrzał wreszcie projekt. Jeśli do wiosny uda się uzyskać pozwolenie na budowę to jest szansa, że jeszcze w tym roku przyznane zostaną środki na tą inwestycję.![[Rozmiar: 8770 bajtów]](images2/proj_1.jpg)


21 stycznia, w wieku 53 lat, zmarł nagle Piotr Popek z Koźmic Małych. Msza św. żałobna została odprawiona w sobotę, 30 stycznia o godz. 1500 w kościele w Koźmicach Wielkich. Pogrzeb na cmentarzu parafialnym, odbył się bezpośrednio po nabożeństwie.
W niedzielę 10 stycznia Wielka Orkiestra Świątecznej Pomocy zagrała także w Koźmicach. Jeden ze
Nadzwyczaj sprawnie przebiegł dwudniowy rajd kolędniczy po Koźmiczkach i okolicy. Ekstremalna trasa obejmująca także tereny formalnie wchodzące w skład Raciborska i Pawlikowic spotkała się z zainteresowaniem zaskoczonych niecodzienną inicjatywą mieszkańców. Mimo niespodzianki furtki pozostały otwarte a psy zamknięte, z czego ucieszyli się sami kolędnicy, którzy
Liczbę ukształtowała późniejsza tradycja, oparta na liczbie darów wspomnianych przez św. Mateusza. Mędrców do Betlejem prowadziła gwiazda. Na przestrzeni wieków, wielu uczonych próbowało ją zidentyfikować. Niektórzy uważali, że była to kometa Hallye’a . Często używany wyraz mag, będący synonimem Mędrca, zdaje się wskazywać na perskie pochodzenie trzech cudzoziemców idących za gwiazdą. Wg legend byli to: Kacper z Arabii, Melchior (początkowo z Melkon) z Persji i Baltazar z Indii – imiona te znane są od VI w. Jedno jest pewne – starożytni Persowie spodziewali się nadejścia „ pomocnika – zbawcy” i wiedzieli, że tego samego oczekuje lud zamieszkujący Palestynę. Skoro nowonarodzony przyszedł na świat by zbawić wszystkich ludzi, a składający Mu hołd przybyli z różnych stron, dlatego w tradycji chrześcijańskiej od XIV w. jeden z magów jest czarnoskóry. Zgodnie z ówczesnym obyczajem, Mędrcy ofiarowali nowonarodzonemu podarunki będące wyrazem hołdu – złoto, kadzidło i mirrę. Od XV w. w dniu Trzech Króli święci się więc w kościele złoto i kadzidło, jako symbol darów które Mędrcy ofiarowali Dzieciątku w stajence. Poświęcone nabierały mocy magicznej, którymi okadzano domy aby chronić je od nieszczęść. Od XVIII w. święci się także kredę. Do tradycyjnych zwyczajów należy pisanie na drzwiach święconą w tym dniu kredą inicjałów K + M + B i cyfry oznaczającej rok. Ale ten skrót trzech imion znaczy również „Niech Chrystus błogosławi ten dom”. Święto Trzech Króli (6 stycznia)zostało zniesione przez władze PRL w 1960 r.
50 lat temu, uchwałą I sekretarza KC PZPR Władysława Gomółki święta: Objawienia Pańskiego (6 stycznia) oraz Wniebowzięcia NMP (15 sierpnia) przestały być w Polsce dniami wolnymi od pracy. Do dziś w Trzech Króli nie pracują m.in.: Austriacy, Grecy, Hiszpanie, Włosi i Słowacy. W tym roku 6 stycznia będzie także dniem wolnym od pracy dla kilku tysięcy miejskich urzędników w Łodzi. Trwa publiczna debata na temat przywrócenia dnia wolnego w dniu święta Objawienia Pańskiego. A jakie jest Wasze zdanie w tej kwestii ?
![[Rozmiar: 14281 bajtów]](images2/odpust.jpg)
![[Rozmiar: 12301 bajtów]](images2/pompony.jpg)
![[Rozmiar: 20848 bajtów]](images2/ulan_budowa.jpg)
![[Rozmiar: 16054 bajtów]](images2/misyjne_1.jpg)
![[Rozmiar: 13864 bajtów]](images2/misyjne_2.jpg)